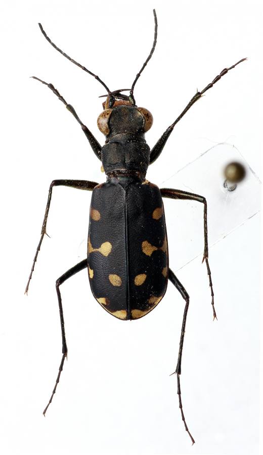
Calomera littoralis nemoralis

(Olivier, 1790)
Říše:
Animalia
Řád:
Coleoptera
Čeleď:
Carabidae
Ochrana
Hodnocení
Všechna pozorování
Moje pozorování
  • cz

  • cz

  • cz

Mapy výskytu

Stáhnout mapu

Ekologie a biologie: Vazba na vlhký, písčitý a nejčastějí slaný podklad. Imaga i larvy dravé.
Celkové rozšíření: Do Česka zasahovala subspécie vyskytující se v jihovýchodní Evropě.
Rozšíření v ČR: Momentálně nezvěstný druh.
Ohrožení: Zarůstání bezlesí, meliorace a intenzivní zemědělská činnost.
Autor popisu: Radek Hejda

Hejkal J. 2012: Catalogue for Eurocarabidae CZ+SK