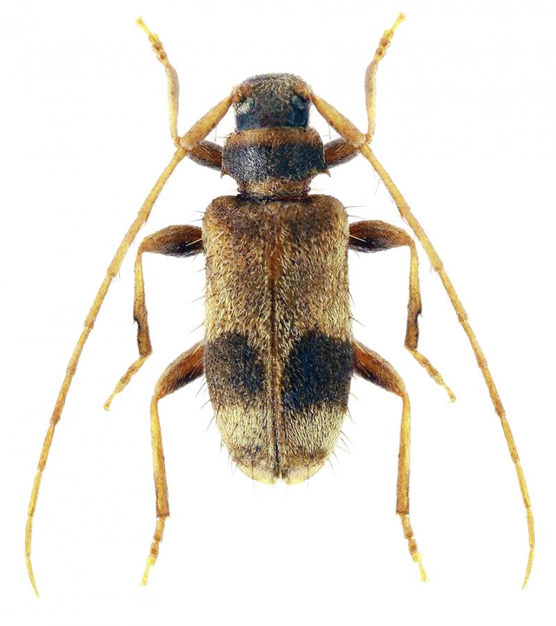
Exocentrus stierlini

Ganglbauer, 1883
Říše:
Animalia
Řád:
Coleoptera
Čeleď:
Cerambycidae
Ochrana
Hodnocení
Všechna pozorování
Moje pozorování
  • cz

  • cz

  • cz

Mapy výskytu

Stáhnout mapu

Atlasy a areály rozšíření v ČR

Tesaříkovití (Cerambycidae) České republiky a Slovenské republiky. Výskyt, bionomie, hospodářský význam, ochrana. Krhanice
Stáhnout mapu

Sláma M. 2006. Coleoptera: Cerambycidae. Icones Insectorum Europae Centralis 4: 40 pp.